조황관리HOME / 조황관리 / 상세정보

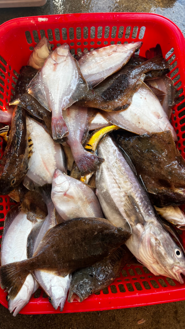
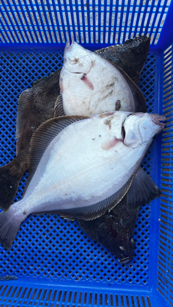
제목 : 24년1월6일 어구가자미/왕대구 출조 조황 올려드립니다.수고생 하셨습니다.!!
등록일 : 2024-01-08

















































































24년1월6일 어구가자미/왕대구 출조 조황 올려드립니다.수고생 하셨습니다.!!

IMG_6834.jpeg


IMG_6837.jpeg


IMG_6836.jpeg


IMG_6838.jpeg


IMG_6835.jpeg


IMG_6833.jpeg


IMG_6839.jpeg


IMG_6840.jpeg


IMG_6832.jpeg


IMG_6830.jpeg


IMG_6829.jpeg


IMG_6828.jpeg


IMG_6827.jpeg


IMG_6826.jpeg


IMG_6825.jpeg


IMG_6824.jpeg


IMG_6823.jpeg


IMG_6822.jpeg


IMG_6821.jpeg


IMG_6820.jpeg


IMG_6819.jpeg


IMG_6818.jpeg


IMG_6817.jpeg


IMG_6816.jpeg


IMG_6815.jpeg


IMG_6813.jpeg
 


여수군내항*진도서망항*동해거진항*

Top